Khu Công Nghiệp Quang Minh
Dự án Khu Công nghiệp Quang Minh chính thức được thành lập và phê duyệt theo Quyết định số 3742/2004/QĐ-UB, do Chủ tịch Ủy ban Nhân dân tỉnh Vĩnh Phúc ký ngày 22 tháng 10 năm 2004. Quyết định này đã tạo tiền đề cho việc xây dựng và phát triển khu công nghiệp, mang lại nhiều cơ hội kinh tế và thu hút đầu tư vào tỉnh. Khu công nghiệp Quang Minh được kỳ vọng sẽ trở thành một trong những điểm nhấn quan trọng trong chiến lược phát triển công nghiệp của Vĩnh Phúc, góp phần thúc đẩy sự phát triển kinh tế – xã hội của địa phương, tạo việc làm cho người lao động, và cải thiện cơ sở hạ tầng kỹ thuật cũng như môi trường sống trong khu vực. Quyết định này không chỉ khẳng định sự quyết tâm của chính quyền địa phương trong việc phát triển công nghiệp bền vững, mà còn mở ra những cơ hội mới cho các nhà đầu tư trong và ngoài nước.

Phối Cảnh Khu Công Nghiệp Quang Minh
THÔNG TIN KHU CÔNG NGHIỆP QUANG MINH
- Tên : Khu Công Nghiệp Quang Minh
- Vị trí : thị trấn Quang Minh, huyện Mê Linh, TP. Hà Nội.
- Chủ đầu tư : Công ty TNHH Đầu tư và Phát triển Hạ tầng Nam Đức
- Tổng quy mô : 344,4ha
- Thời gian vận hành đến năm 2054

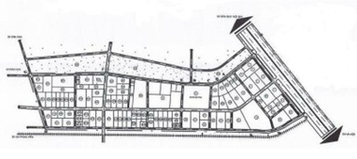
Mặt Bằng Khu Công Nghiệp Quang Minh
Đánh giá từ Khu Công Nghiệp Việt Nam thì đây là khu vực đang phát triển mạnh về hạ tầng giao thông kết nối thuận tiện cho việc vận chuyển hàng hoá được nhiều doanh nghiệp quan tâm đầu tư xây dựng nhà xưởng sản xuất.
VỊ TRÍ KHU CÔNG NGHIỆP QUANG MINH
Khu công nghiệp Quang Minh tọa lạc tại vị trí đắc địa, nằm ngay cạnh đường cao tốc Bắc Thăng Long – Nội Bài và tuyến đường sắt Hà Nội – Lào Cai, gần kề cảng Hàng không Quốc tế Nội Bài. Với vị trí nằm trên trục giao thông đường sắt và quốc lộ 18, khu công nghiệp này thuận tiện cho việc vận chuyển hàng hóa từ trung tâm miền Bắc tới Cảng Hải Phòng và Cảng nước sâu Quảng Ninh – Cái Lân.
Ranh giới của Khu công nghiệp Quang Minh được xác định như sau:
- Phía Bắc: Giáp khu dân cư ven sông Cà Lồ thuộc xã Quang Minh.
- Phía Nam: Giáp đường cao tốc Bắc Thăng Long – Nội Bài.
- Phía Đông: Giáp xã Kim Hoa, huyện Mê Linh, thành phố Hà Nội.
- Phía Tây: Giáp tuyến đường sắt Hà Nội – Lào Cai.
Khoảng cách đến các địa điểm quan trọng từ Khu công nghiệp Quang Minh:
- Cách sân bay quốc tế Nội Bài 5 km.
- Cách trung tâm thành phố Hà Nội 25 km.
- Cách cảng Hải Phòng 141 km.
- Cách cảng nước sâu Quảng Ninh – Cái Lân 120 km.
Vị trí chiến lược này không chỉ giúp tối ưu hóa chi phí vận chuyển mà còn tạo điều kiện thuận lợi cho các hoạt động xuất nhập khẩu, thu hút nhiều nhà đầu tư trong và ngoài nước đến với Khu công nghiệp Quang Minh.

Hạ Tầng Kết Nối Khu Công Nghiệp Quang Minh
CƠ SỞ HẠ TẦNG TẠI KHU CÔNG NGHIỆP QUANG MINH
- Điều kiện về đất đai:
Cao độ san nền: Trung bình 9,8m
Chất đất: Cứng và đã san nền, đảm bảo nền móng vững chắc cho các công trình xây dựng.
- Nguồn điện:
Cung cấp điện: Liên tục và ổn định, được lấy từ tuyến điện cao thế của thành phố Hà Nội.
Tổng công suất: Toàn khu khoảng 60.000 KVA.
Mạng lưới điện: Được phân phối dọc theo các đường giao thông nội bộ trong KCN. Các doanh nghiệp tự đầu tư và xây dựng trạm hạ thế tùy theo nhu cầu tiêu thụ.
- Hệ thống thoát nước:
Thoát nước mưa: Được thu gom qua hệ thống cống và thoát ra các sông trong khu vực.
Thoát nước thải: Hệ thống riêng biệt cho nước thải công nghiệp và nước thải sinh hoạt, thu gom và đưa về Nhà máy xử lý nước thải của KCN.
- Xử lý nước thải và chất thải rắn:
Nước thải: Toàn bộ nước thải công nghiệp và sinh hoạt được xử lý đạt tiêu chuẩn tối thiểu mức nước C trước khi xả ra hệ thống nước thải chung của KCN Quang Minh, sau đó được tiếp tục xử lý đạt tiêu chuẩn quy định của Chính phủ Việt Nam.
Chất thải rắn: Các nhà máy trong KCN sẽ ký hợp đồng phân loại, thu gom và vận chuyển rác thải với các đơn vị có chức năng, đảm bảo rác thải được vận chuyển ra khỏi KCN, tránh gây ô nhiễm môi trường.
- Hệ thống cung cấp nước sạch:
Cung cấp nước: Hệ thống nước sạch được đấu nối đến tận chân tường rào của từng doanh nghiệp, đảm bảo nhu cầu sử dụng nước sạch.
Hệ thống giao thông nội bộ trong KCN:
Thiết kế đường: Hợp lý và thuận tiện, phục vụ cho việc đi lại và vận chuyển hàng hóa đến từng lô đất.
Đường trung tâm: Rộng 36m.
Đường nhánh: Rộng 24m.
Chiếu sáng: Hệ thống đèn chiếu sáng được lắp đặt dọc theo các tuyến đường.
- Hệ thống cây xanh:
Diện tích cây xanh: Chiếm 10-12% diện tích toàn KCN, kết hợp giữa cây xanh tập trung và cây xanh dọc các tuyến đường, tạo cảnh quan xanh mát và môi trường làm việc trong lành.
- Hệ thống thông tin:
Viễn thông: Đạt tiêu chuẩn quốc tế, luôn sẵn sàng đáp ứng nhu cầu thông tin liên lạc của các doanh nghiệp.
Cáp quang: Hệ thống cáp quang ngầm được đấu nối trực tiếp đến chân hàng rào của từng doanh nghiệp.
- Hệ thống chữa cháy và thu lôi:
Chữa cháy: Mỗi doanh nghiệp tự bố trí và bảo dưỡng hệ thống báo cháy và chữa cháy hiệu quả cho công trình trong khu vực đất thuê.

Kho Nhà Xưởng Khu Công Nghiệp Quang Minh
NGÀNH NGHỀ THU HÚT ĐẦU TƯ KHU CÔNG NGHIỆP QUANG MINH
Khu công nghiệp Quang Minh đang thu hút:
Công nghiệp lắp ráp cơ khí điện tử: Bao gồm sản xuất và lắp ráp các thành phần cơ khí và điện tử cho các sản phẩm công nghiệp và tiêu dùng.
Chế biến thực phẩm: Tập trung vào sản xuất và chế biến các sản phẩm thực phẩm, từ thực phẩm đóng gói đến thực phẩm chế biến sẵn.
Công nghiệp nhẹ và hàng tiêu dùng: Bao gồm sản xuất các sản phẩm nhẹ và hàng tiêu dùng, như quần áo, giày dép, đồ dùng gia đình, vv.
Chế biến đồ trang sức: Tạo ra các sản phẩm trang sức từ các nguyên liệu và vật liệu khác nhau.
Sản xuất linh kiện điện tử chính xác: Sản xuất các linh kiện điện tử chính xác và chất lượng cao để sử dụng trong các thiết bị điện tử.
Sản xuất xe máy và ôtô: Bao gồm việc lắp ráp và sản xuất các phần và linh kiện cho xe máy và ôtô.
Sản xuất đồ điện gia dụng: Tạo ra các sản phẩm điện gia dụng như tivi, tủ lạnh, máy giặt, vv.
Cơ khí: Bao gồm các hoạt động sản xuất và gia công cơ khí, từ gia công chính xác đến sản xuất máy móc và thiết bị cơ khí.
Các ngành nghề này đa dạng và phong phú, tạo ra nhiều cơ hội cho các doanh nghiệp trong và ngoài Khu công nghiệp Quang Minh.

Nhà Xưởng Khu Công Nghiệp Quang Minh
CHI PHÍ VÀ ƯU ĐÃI ĐẦU TƯ TẠI KHU CÔNG NGHIỆP QUANG MINH
- Phí Quản lý:
Mức phí: 0.35 USD/m2
Phương thức thanh toán: Thanh toán hàng năm
- Giá Điện:
Giờ cao điểm: 0.1 USD
Giờ bình thường: 0.05 USD
Giờ thấp điểm: 0.03 USD
Phương thức thanh toán: Thanh toán hàng tháng
Nhà cung cấp: Tổng Công ty Điện lực Việt Nam (EVN)
- Giá Nước Sạch:
Giá nước: 0.4 USD/m3
Phương thức thanh toán: Thanh toán hàng tháng
Nhà cung cấp nước: Cung cấp bởi các nhà cung cấp được chính phủ phê duyệt
- Phí Nước Thải:
Giá thành: 0.28 USD/m3
Phương thức thanh toán: Thanh toán hàng tháng
Chất lượng nước trước khi xử lý: Đạt mức chuẩn Loại B
Chất lượng nước sau khi xử lý: Đạt mức chuẩn Loại A

Kho Xưởng Khu Công Nghiệp Quang Minh

