Khu Công Nghiệp Nhơn Trạch 5 IDICO Đồng Nai
Khu Công Nghiệp Nhơn Trạch 5 IDICO là một trong những dự án công nghiệp đáng chú ý tại Huyện Nhơn Trạch, Tỉnh Đồng Nai. Với quy mô lên đến 309,4ha, khu công nghiệp này được Tổng Công Ty IDICO đảm nhận vai trò chủ đầu tư, đồng hành cùng sự phát triển bền vững của khu vực.
Với vị trí địa lý đắc địa, Khu Công Nghiệp Nhơn Trạch 5 nằm gần các tuyến giao thông chính, dễ dàng kết nối với TP.HCM và các tỉnh lân cận. Điều này tạo điều kiện thuận lợi cho việc vận chuyển hàng hóa, hỗ trợ cho doanh nghiệp trong việc mở rộng thị trường và phát triển sản xuất.
Với phạm vi rộng lớn, khu công nghiệp này cung cấp một loạt các lô đất công nghiệp hiện đại và tiện ích, phù hợp với các ngành công nghiệp đa dạng. Doanh nghiệp tại đây sẽ được hưởng môi trường kinh doanh thuận lợi, hạ tầng hoàn chỉnh, dịch vụ chăm sóc khách hàng chuyên nghiệp, giúp tối ưu hóa quy trình sản xuất và giảm thiểu chi phí.

Cổng Chính Khu Công Nghiệp Nhơn Trạch 5 Đồng Nai
THÔNG TIN VỀ KHU CÔNG NGHIỆP NHƠN TRẠCH 5 IDICO
- Tên : Khu Công Nghiệp Nhơn Trạch 5 IDICO
- Vị trí : Thuộc Huyện Nhơn Trạch, Tỉnh Đồng Nai
- Chủ đầu tư : Tổng Công Ty IDICO
- Quy mô : 309,4ha
- Thời gian thuê đất đến năm 2053

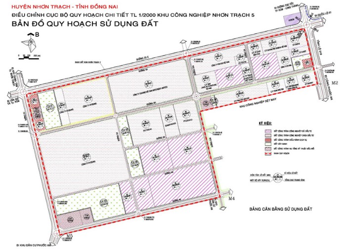
Mặt Bằng Khu Công Nghiệp Nhơn Trạch 5 Đồng Nai
VỊ TRÍ KHU CÔNG NGHIỆP NHƠN TRẠCH 5 IDICO
KCN Nhơn Trạch 5 IDICO tọa lạc tại vị trí đắc địa của Huyện Nhơn Trạch, Tỉnh Đồng Nai. Với diện tích rộng lớn lên đến 309,4ha, khu công nghiệp này hứa hẹn là điểm đến lý tưởng cho các doanh nghiệp và nhà đầu tư.
Vị trí gần các tuyến giao thông chính, kết nối dễ dàng đến TP.HCM và các tỉnh lân cận, mang lại lợi thế lớn về vận chuyển hàng hóa. Sự hỗ trợ hạ tầng hoàn chỉnh và môi trường kinh doanh thuận lợi tại đây sẽ giúp doanh nghiệp tối ưu hóa hoạt động sản xuất và mở rộng thị trường hiệu quả.

Vị Trí Khu Công Nghiệp Nhơn Trạch 5 Đồng Nai
LỢI THẾ TẠI KHU CÔNG NGHIỆP NHƠNTRẠCH 5 IDICO
Khu công nghiệp Nhơn Trạch 5 Đồng Nai nằm tại đô thị mới Nhơn Trạch, thể hiện trong quy hoạch thành phố công nghiệp quy mô 8.000ha với các tiện ích đa dạng như sân bay, bến cảng, khu dân cư và giải trí, tạo thành trung tâm công nghiệp của Đồng Nai.
Với sự thuận lợi về giao thông đường bộ, đường thủy và đường hàng không, khu công nghiệp nằm cách TP. Hồ Chí Minh 60km, TP. Biên Hòa 40km và TP. Vũng Tàu 60km. Vùng đất có khí hậu ôn hòa, không có bão và động đất, đồng thời có khả năng chịu tải đất lớn, từ 1,5-2,5kg/cm2, tạo điều kiện thuận lợi và tiết kiệm chi phí xây dựng nhà xưởng sản xuất.
Đã có nhiều nhà đầu tư từ các quốc gia khác nhau chọn KCN Nhơn Trạch IDICO Đồng Nai để phát triển nhà máy sản xuất. Các tên tuổi đáng chú ý như Công ty Hyosung, Công ty Jang In Furniture, Công ty Sam Hwan, Công ty Hyundai, Công ty gia công thép Posco, Công ty Lock & Lock (Hàn Quốc), Công ty Dệt Texhong Việt Nam (Hong Kong), Công ty Sun Yad, Công ty Headway, Công ty U-Best (Đài Loan), Công ty Đồng Nai Nakagawa Denka (Hàn quốc – Nhật bản), Công ty Cơ khí điện Lữ Gia (Việtnam)… đã đặt niềm tin vào tiềm năng của khu vực này để đầu tư và phát triển sản xuất. Điều này chứng tỏ tiềm năng phát triển và thu hút đầu tư mạnh mẽ của Khu công nghiệp Nhơn Trạch 5 IDICO trong lĩnh vực công nghiệp tại Đồng Nai.

Thực Tế Khu Công Nghiệp Nhơn Trạch 5 Đồng Nai
- Đánh giá thì KCN Nhơn Trạch 5 IDICO Đồng Nai là khu vực tiềm năng nhất hiện nay về kết nối hạ tầng và tiết kiệm chi phí vận chuyển hàng hóa cho các doanh nghiệp
CƠ SỞ HẠ TẦNG TẠI KHU CÔNG NGHIỆP NHƠN TRẠCH 5 IDICO
Cấp điện:
Khu công nghiệp Nhơn Trạch 5 được cấp điện từ Trạm biến áp 110/22KV trong KCN Nhơn Trạch 5, do Công ty cổ phần Đầu tư phát triển nhà và đô thị IDICO-UDICO quản lý vận hành. Trạm biến áp 110kV Nhơn Trạch 5 được nối với hệ thống điện Quốc gia thông qua Trạm biến áp 220/110kV Long Bình, đảm bảo cung cấp nguồn điện ổn định và chất lượng. Giá điện 22kV tuân thủ quy định của Nhà nước: 1.555VND/kWh (giờ bình thường), 2.871VND/kWh (giờ cao điểm), và 1.007VND/kWh (giờ thấp điểm).

Thoát Nước Tại Khu Công Nghiệp Nhơn Trạch 5 Đồng Nai
Cấp nước:
Khu công nghiệp nhận nước từ Nhà máy nước ngầm Tuy Hạ có công suất 22.000m3/ngày đêm, do Chủ đầu tư IDICO-URBIZ cung cấp. Giá nước tuân thủ quy định của tỉnh Đồng Nai.
Thông tin liên lạc:
Hệ thống thông tin liên lạc đa dạng và đáng tin cậy, bao gồm các nhà mạng VNPT, FPT, Viettel… cung cấp các dịch vụ điện thoại, điện thoại di động, Fax, Internet, đảm bảo thông suốt trong nước và quốc tế.
Thoát nước:
Hệ thống thoát nước mưa và nước thải được quy hoạch và xây dựng riêng biệt, chạy dọc các tuyến đường nội bộ, thu gom toàn bộ nước mưa và nước thải từ các nhà máy trong khu công nghiệp. Nước mưa được thoát trực tiếp vào nguồn tiếp nhận, trong khi nước thải được thu gom và xử lý triệt để tại Trạm xử lý nước thải tập trung của khu công nghiệp trước khi xả ra môi trường.
Xử lý nước thải:
Nhà máy xử lý nước thải tập trung trong khu công nghiệp có công suất xử lý 12.000m3/ngày đêm.
Giao thông:
Khu công nghiệp Nhơn Trạch 5 IDICO nằm ở trung tâm vùng kinh tế trọng điểm phía Nam, bao gồm TP. Hồ Chí Minh – Biên Hòa – Vũng Tàu, thuận lợi về vận chuyển đường bộ và đường thủy. Hệ thống đường bộ bao gồm đường 25B, 25C, kết nối với Quốc lộ 51 đi TP. Hồ Chí Minh (50km), đi Biên Hòa (40km), và đi TP. Vũng Tàu (60km). Đường thủy giúp khu công nghiệp kết nối với các cảng như Sài Gòn, Vũng Tàu, Phú Mỹ và Gò Dầu, đảm bảo vận chuyển hàng hóa thuận tiện.

Hạ Tầng Khu Công Nghiệp Nhơn Trạch 5 Đồng Nai
ƯU ĐÃI ĐẦU TƯ TẠI KHU CÔNG NGHIỆP NHƠN TRẠCH 5 IDICO
Thuế suất thuế thu nhập doanh nghiệp: 20%.
Ưu đãi thuế:
Doanh nghiệp sẽ được hưởng thuế suất ưu đãi là 17% trong 10 năm liên tục kể từ năm đầu tiên có doanh thu từ dự án. Sau thời gian ưu đãi này, mức thuế suất sẽ chuyển sang áp dụng 20%.
Miễn thuế 2 năm và giảm 50% trong 4 năm tiếp theo kể từ khi có thu nhập chịu thuế.
Thời gian miễn, giảm thuế được tính từ năm đầu tiên doanh nghiệp có thu nhập chịu thuế từ dự án.
Trong trường hợp doanh nghiệp không có thu nhập chịu thuế trong ba năm đầu (kể từ năm đầu tiên có doanh thu từ dự án), thời gian miễn thuế giảm thuế sẽ được tính từ năm thứ tư.
Thuế nhập khẩu: Doanh nghiệp sẽ được miễn thuế nhập khẩu cho hàng hoá nhập khẩu theo quy định tại Luật Thuế xuất khẩu, Thuế nhập khẩu số 45/2005/QH11 ngày 14 tháng 6 năm 2005 và Nghị định số 87/2010/NĐ-CP ngày 13 tháng 8 năm 2010 của Chính phủ.
Các căn cứ xác định ưu đãi thuế là Nghị định số 218/2013/NĐ-CP ngày 26/12/2013 và Nghị định số 118/2015/NĐ-CP ngày 12/11/2015.

Ưu Đãi Thuế Khu Công Nghiệp Nhơn Trạch 5 Đồng Nai
THỦ TỤC THUÊ KHU CÔNG NGHIỆP NHƠN TRẠCH 5 IDICO
Nhà đầu tư quan tâm tới Khu Công nghiệp Nhơn Trạch 5 IDICO có thể bắt đầu bước đầu tìm hiểu thông tin về khu công nghiệp này và điều kiện thuê lại đất từ IDICO.
Để ký Ghi nhớ thuê lại đất với IDICO, các điều kiện cần được thống nhất như sau:
Ghi nhớ thuê lại đất có hiệu lực trong 04 tháng, đảm bảo tính minh bạch và thời hạn chính xác.
Nhà đầu tư cần thanh toán tiền đặt cọc tương đương 10.000 USD/ha để giữ chỗ đất. Số tiền này sẽ được khấu trừ vào các khoản thanh toán theo Hợp đồng thuê lại đất chính thức, tạo điều kiện thuận lợi và đảm bảo cam kết của hai bên.
Trong suốt thời gian 04 tháng của Ghi nhớ thuê lại đất, nhà đầu tư cần tiến hành thủ tục để được cấp Giấy chứng nhận đầu tư và thành lập doanh nghiệp Dự án. Những bước thực hiện này sẽ đảm bảo sự chuẩn bị đầy đủ trước khi ký Hợp đồng với IDICO.
Các bước thực hiện thủ tục thuê khu công nghiệp Nhơn Trạch 5 IDICO như sau:
1. Xin chấp thuận chủ trương đầu tư từ Cơ quan đăng ký đầu tư, với thời gian xử lý từ 15-30 ngày.
2. Sau khi chấp thuận chủ trương, nhà đầu tư tiếp tục thực hiện thủ tục cấp Giấy chứng nhận đăng ký đầu tư, trong khoảng thời gian 15 ngày.
3. Lập và xin phê duyệt Báo cáo đánh giá tác động môi trường tại Cơ quan thẩm định và phê duyệt ĐTM, với thời gian xử lý khoảng 60-90 ngày.
4. Thành lập Doanh nghiệp Dự án trong vòng ~3 ngày sau khi có Giấy chứng nhận đăng ký đầu tư, đảm bảo tiến độ nhanh chóng.
5. Ký Hợp đồng thuê lại đất với IDICO trong vòng 30 ngày kể từ ngày được cấp Giấy chứng nhận đầu tư, đảm bảo sự linh hoạt và hiệu quả của quy trình.
6. Sau khi ký Hợp đồng thuê lại đất và Dự án được phê duyệt Báo cáo đánh giá tác động môi trường, nhà đầu tư tiến hành thủ tục xin cấp Giấy phép xây dựng, đảm bảo sự liên kết giữa các bước thực hiện.
7. Sau khi được cấp Giấy phép xây dựng, nhà đầu tư tiến hành triển khai xây dựng Dự án, đưa vào hoạt động sản xuất và kinh doanh. Quá trình thực hiện thuê khu công nghiệp sẽ được thực hiện một cách thuận lợi và chính xác, giúp tạo điều kiện tốt nhất cho doanh nghiệp phát triển và đạt được hiệu quả kinh

Thủ Tục Thuê Tại Khu Công Nghiệp Nhơn Trạch 5 Đồng Nai

